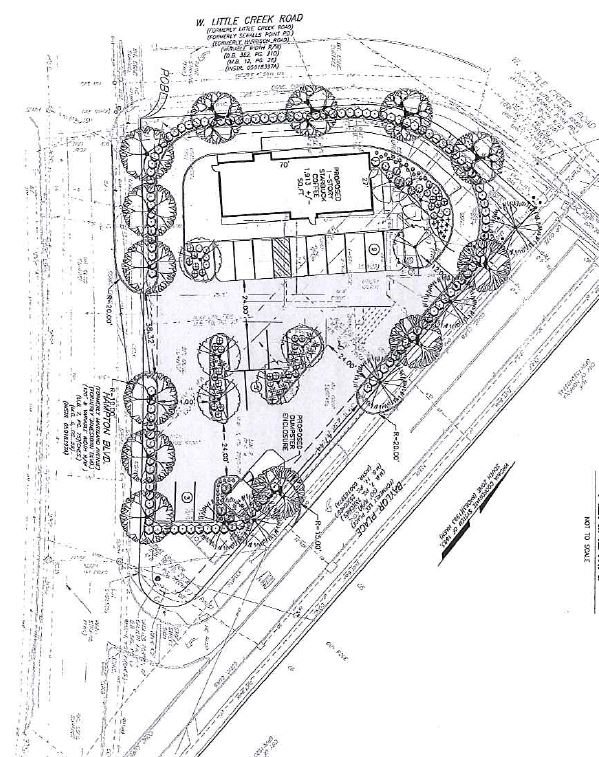
Starbucks has applied for a Special Exception to operate a new location with a drive-thru at 7600 Hampton Blvd. This is the former location of Church’s Chicken Restaurant.
Starbucks plans to tear down the old Church’s Chicken building and construct a new 1,913sq.ft. store on the site.
Starbucks is scheduled to go before the Planning Commission on May 26, 2016.

Site plan of the proposed Starbucks at the intersection of Hampton Blvd and W. Little Creek Road.

NW Elevation (side facing W. Little Creek Road) of the proposed Starbucks.

NE Elevation of the proposed Starbucks.

SE Elevation (side facing Baylor Place) of the proposed Starbucks.

SW Elevation (side facing Hampton Blvd) of the proposed Starbucks
Posted by Martin Thomas Jr. 