
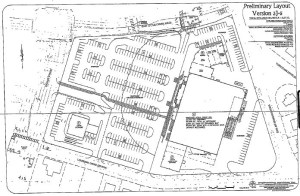
Exhibit A - Layout of Suburban Park Shopping Center
The City of Norfolk has received the following applications regarding the new Harris Teeter anchored shopping center planned for the southeast corner of Wards Corner:
1. Conditional Change of Zoning. The applicant is asking to rezone the entire block to Conditional C-3 with conditions that the property shall be developed generally in accordance with the layout attached as Exhibit A, that the outparcel will be single user, and that the buildings constructed will be consistent with the appearance in the rendering attached as Exhibit B.
2. Adult Use Special Exception for the sale of Alcoholic Beverages for off-premises Consumption. The applicant is requesting to be able to sell Beer and Wine from 6:00AM to 12:00AM daily at Harris Teeter.
3. Special Exception to Operate a Retail Establishment After Midnight. The applicant is requesting to operate a full service Harris Teeter from 12:00AM to 12:00AM daily.
4. Special Exception to operate a Commercial Drive-Through Facility. The applicant is requesting to operate a branch banking facility with drive-through lanes to serve customers, including automatic teller machines.
5. Special Exception to operate a Commerical Drive-Through Facility. The applicant is requesting to operate a drive through out of the end unit of the shopping center serving food and beverages. The hours of operation indicated are from 6:00AM to 11:00PM. The exhibit to this request indicates a “COFFEE HOUSE” in that location.
The complete application can be viewed here (PDF).


This is awesome for news. We have truly turned the corner, thanks to the hard work of so many. NOW begins the transformation of all of Wards Corner and the return to it’s former glory!
I’m wondering if Harris Teeter is the right choice for this. We already have a Kroger and Farm Fresh. Why not try to get a Trader Joe’s or a Whole Foods or Fresh Market – something different than a “regular” grocery store.
All I see is a sea of parking with a rather dull looking buiding design. Yes its new but it does nothing to set Wards Corner apart from anyother new development. Its not pedestrian oriented either……its all oriented to cars. Yes its shiny and new but the real question is does it add value to Wards Corner in the long run. And I agree with the commenter above–at least get a upscale and different type of main grocer……that would bring a set of different types of shops and retail smaller shops alongside to make the development set a higher standard for Wards Corner. Not inspired at all.
You and Ms. Methany seem to think that we get to pick and choose who gets to bring their business to Wards Corner. This is a gift that involves considerable investment ($$$$$) on the part of Chris Perry and Harris Teeter. Mr. Perry could have taken his money elsewhere, but he sees value in Wards Corner. There is additional retail space for small shops. Wards Corner is loaded with it, but it doesn’t get filled without an “anchor” like Harris Teeter that will draw people. By the way, Harris Teeter is considered an “upscale” store. Go the new one in Ghent before passing judgement.
You are so right Chris! I am so happy to have Harris Teeter coming,it is much better than what is there now. The whole shopping center needs to be bulldozed,half of them smell moldy if you go inside. We need a fresh start! There will be plenty of room for other shops to open,maybe some of the ones already there,like the book store,dollar tree,etc. You have to SEE the big picture. And I don’t really want to see Farm Fresh go away either,I like having options are where I shop. If you want to tear down some buildings there is still plenty of Ghetto apts along Little Creek you can take a stand against!
I agree with Shawn. It’s really disappointing to see a giant parking lot to get through if you’re just walking up to the store. On the bright side, it’ll probably end up matching the giant empty sea of parking spaces across the street from it.
I *was* excited to hear about something being done in Wards Corner, but I don’t see anything to be excited about. I’m already afraid to walk up there because it’s so pedestrian-UNfriendly and this is just more of the same. The lack of support for pedestrians and public transit in this region continues to astound me.
I like the current “old” design a thousand times more than this generic layout. I felt safe walking by the shops and it was nice having a few unique shops to stop in and browse for a bit on the way to buy groceries. Unless this design is modified, that “safe” feeling I had as a pedestrian is gone.
THERE NEEDS TO BE A PARKING LOT!!!!! PEOPLE WILL COME FROM OUTSIDE WARDS CORNER TO SHOP HERE!!!
THIS IS NOT JUST ABOUT YOU AND YOUR DESIRES. THIS NEEDS TO SERVE ALL OF THE PEOPLE WHO WILL USE IT!!!
BIG PICTURE PEOPLE!!! THIS IS A GOOD THING FOR OUR AREA!!!
Uh, at no point in time did I say that there shouldn’t be a parking lot. The problem with the design is that if someone walks from one of the residential areas or arrives on the bus, they have to walk through a parking lot to get to the store – unlike the current layout of the existing shopping center. The location of the coffee drive through makes it even more dangerous for pedestrians.
And again, this isn’t just about anyone’s “desires”. Norfolk spent money on light rail. The light rail will likely be expanded at some point in the future – perhaps even to Virginia Beach. There is a bus depot at Wards Corner, making the area a center for public transit. People WALK to get to the bus so it would make sense for any new development to be supportive of public transit as well. Designs that put the retail in the middle of a parking lot are dated and will be obsolete in a city with public transit. A better design would put the parking lot to the side or in back, not surrounding the retail location.
But thanks for yelling. =D
I’m sorry for yelling.
But instead of complaining about peoples’ ability to walk, please realize that the needs of the many will have to out-weigh the needs of the few. This is not the upper west side of Manhattan. This is a “suburban” shopping area. A significant majority of people that will patronize this endeavor will drive here, not take the bus. The idea is for this to be a successful development for our area.
You and I may live close enough to walk, but we will not be able to sustain this business on our own. It will require planning for people coming from Ocean View, Lochaven, and Larchmont. Our current shopping center has parking behind the center, but this limits the design of the store. It also creates a security risk. Grocery stores get deliveries daily with large tractor trailer trucks that need to maneuver and unload. This was also considered when the space was designed.
I get frustrated because people are quick to condemn a hugely positive development for our future, and don’t consider the amount of work it took just to get to this point. Wards Corner will never become another Ghent or downtown Granby Street shopping area. The residential density is not the same. We are mostly single family homes here, not apartments. We need to be realistic with our expectations, and grateful for what is happening.
The alternative to this is to have nothing happen at all.
I’ll repeat – there is a bus depot here. There are apartments and assisted living facilities. There are residential areas right along the area. The attitude that we must automatically decide that the majority rules with no thought to compromise is disappointing and sad.
No, we will not be able to sustain it alone, but that is no reason to cater specifically to outsiders, either. The current plan is unfriendly and possibly even dangerous for pedestrians. If Norfolk continues to invest in public transit, which is pretty much guaranteed, why go with a design that does not encourage or at least allows for safe pedestrian traffic?
With the bus depot there, I would be surprised if at least some commuters didn’t venture over to browse and pick up a quick meal IF it was easy and safe to walk there. And again, why should we take the attitude that since *most* people will drive there, why worry about the pedestrians?
First, no one really knows if there wasn’t an attempt to get a Whole Foods, Fresh Market or Trader Joe’s. Maybe there was and it was rejected. This is still a great development for Ward’s Corner. Maybe we have our own personal preferences as to how it should be done, but it isn’t our dollars funding this either. Please no boo-birds! Finally Dalis-Martone is forced to update (on the cheap, yes) but this wouldn’t have happened without the Perry project. And Perry is gutting the area and starting from scratch – thank you Mr Perry! It will be so much better. I myself would have preferred an improvement along the lines of Market Square in Williamsburg, but that won’t happen. I’m not going to not shop there or not hope for success just because it isn’t happening in the style I want.
I’m hoping Harris Teeter will result in shutting that Farm Fresh down and giving us another corner to work with. I like Farm Fresh for the most part, but that location is awful.
To be perfectly honest, the only reason I wouldn’t patronize that corner is if I can’t navigate the corner safely on foot. It’s bad enough up there as it is now.
What isn’t depicted on the particular plans posted are the sidewalks surrounding the property, the bike racks placed throughout the site, the bus stop, the landscape burm, the parking lot island landscaping, the brick entry way, the gas lanterns, the LED energy efficient lights, the extra green space and the elevations for the remainder of the retail spaces.
I would be happy to dive into any of the details of the plan with anyone that might be interested.
Please call me @ 671-1700 x304 or my cell is 650-4770.
Thanks for everyone’s interest in Wards Corner.
Chris Perry
Thank you!! Would it be possible to get the complete plans posted? I’d love to share them with my friends. I have friends in Ghent who ride the bus to visit and we used to walk up and browse the shops at Wards Corner. Now I can’t WAIT to be able to do that again. =D
I would just like to say thank you for making a big step forward for Wards Corner. Someone had to do it.
Of course. I will send them to Martin Thomas in the next week or so…
Thanks.
Chris
I’ve looked at the map and just got back from my walk. We have crosswalks and sidewalks through out the area. I saw the plan. There are provisions for sidewalks. There is a walkway through the middle of the parking lot. It’s sounds like you don’t drive. I’m sorry you don’t feel safe, but the world isn’t going going to stop moving forward. I don’t know what it would take for you to fell 100% safe. That is what is being compromised – your personal feeling.
I know there is a bus depot there, but guess what – people who take the bus don’t buy $200-$300 dollars in groceries per visit, and I;m pretty sure many will be shopping at Harris Teeter.
I don’t know where you’ve been living, but decisions have always been made based on what the majority needs, not what a minority does.
I would like to thank Mr. Perry for a beginning. This change has been over 12 years in in the making.
I drove to the location in Ghent also to look at the store site there and it is very nicely done. The brick walls are really nothing like I had thought it would look like and the seating areas are a nice addition too.
I much prefer Martin Thomas’s store front rendering, but when the property owner has to foot the change cost, it has to be thought about. I’m looking forward to the change.
Sue