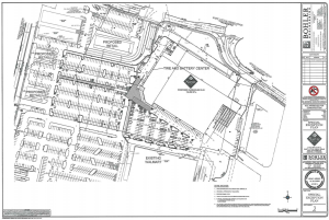
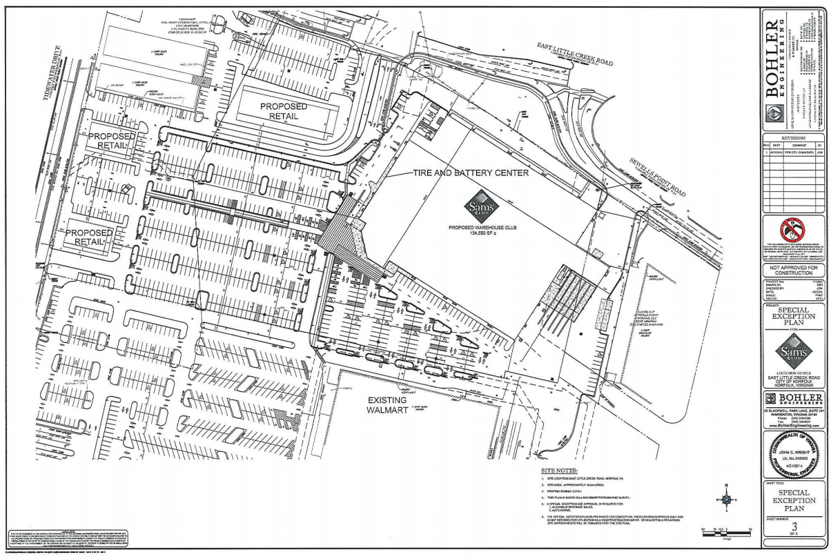
The new Sam’s Club slated for the old K-Mart location at the intersection of E. Little Creek Road and Tidewater Drive has applied for special exceptions to sell alcohol, to do automobile repair (tire sales and service), and to operate a gas station.
The K-Mart building will be torn down and a new Sams Club building will be located further east than the current K-Mart. The new building will be angled a bit as compaired to the Wal-Mart located next door.
The gas station will be located at the corner of Tidewater Drive and Central Business Park Drive in front of the Wal-Mart
The Planning Commission is scheduled to vote on the applications at the May 22, 2014 public hearing.


Posted by Martin Thomas Jr. 
